[의학신문·일간보사=차원준 기자] 영산강유역환경청은 11월 25일(화) 광주·전남·제주 지역 통합환경허가사업장 134개소를 대상으로 ‘2025년 통합허가사업장 간담회 및 환경관리교육’을 실시했다.통합환경관리제도는 대기·수질·폐기물 등 7개 법률 10개 인허가를 하나의 통합허가로 관리하며, 최적가용기법(BAT)을 적용해 오염물질 배출을 최소화하는 선진 제도다. 관내 통합허가사업장은 2022년 86개소에서 올해 134개소로 지속 증가하고 있다.이번 행사에서는 포스코, GS칼텍스 등 대기업의 자율 환경관리 우수사례를 중소기업에 공유하고,
[의학신문·일간보사=이정윤 기자] 기후에너지환경부(장관 김성환)는 올해 12월부터 내년 3월말까지 미세먼지 계절관리제가 시행된다고 11월 25일 밝혔다.정부는 김민석 국무총리 주재로 이날 오전, 정부서울청사에서 제17차 미세먼지특별대책위원회(공동위원장: 김민석 국무총리, 이강웅 교수)를 열고 미세먼지 계절관리제를 확정했다.이번 계절관리제는 국민건강 보호를 최우선으로 두고 국민 일상에 가까운 생활공간 미세먼지 개선과 함께 주요 배출원을 집중관리 할 계획이다.초미세먼지와 그 생성물질을 지난해보다 2% 추가로 줄인 약 12.9만톤을 감축
[의학신문·일간보사=이정윤 기자] 한국수자원조사기술원(원장 이영기)은 지난 11월 12일부터 14일까지 대구 엑스코(EXCO)에서 열린‘대한민국 국제물주간(KIWW) 2025’에 참가했다.기술원은“물의 미래를 함께 여는 스마트 혁신”을 주제로 홍보관과 글로벌 물안보 ODA 포럼 공동관 및 2030 청년세대가 바라본 통합물관리의 미래 세션 등을 운영했다.주요 내용으로는 △ 기술원 자체 개발 KIHS-BUDDY(수문조사용 무선보트) 홍보 △ KIHS R&D 성과 공유 △ 펌핑 시스템을 활용한 유사량 측정기술 소개 △ 기후위기 대응을 위
[의학신문·일간보사=이정윤 기자] 기후에너지환경부 산하 국립공원공단(이사장 주대영)은 11월 25일 국립공원 해양 전담 관리기관인 ‘국립공원 해양생태보전원(경남 사천시 실안동 소재)’을 정식 개원한다고 24일 밝혔다.국립공원 해양생태보전원은 △우리나라 핵심 해양지역인 해상‧해안국립공원의 조사‧연구 △해양생물 서식지 증식‧복원 △교육‧체험 관련 정책개발 등을 전문적으로 수행하며, 기존 국립공원연구원 산하 해양 연구센터를 확대‧재편하여 출범하는 것이다. 국립공원공단은 해양생태보전원 출범을 위해 2023년 10월 사천시와 국립공원 해양거
[의학신문·일간보사=이정윤 기자] 기후에너지환경부(장관 김성환)와 한국수자원공사(사장 윤석대)는 물산업을 우리나라의 새로운 성장동력으로 성장시킬 ‘혁신형 고성장 기업(유니콘)’을 발굴하기 위해 11월 25일 노보텔앰버서더호텔(서울 강남구 소재)에서 ‘대한민국 물산업 혁신 창업대전 2025’ 최종 경연을 개최한다고 밝혔다.기후위기 심화 등으로 인해 물 관리의 중요성이 커지면서 전세계 물시장 규모는 2025년 1,485조 원에 이를 것으로 전망된다. 매년 2.9%씩 지속 성장하는 이 시장을 견인하는 것은 △지능형 기반시설(스마트 인프라
[의학신문·일간보사=차원준 기자] 영산강유역환경청은 광역상수원(주암호, 동복호, 상사호, 수어호, 탐진호) 상류 지역 주민들의 토지 매도 편의를 위해 오는 11월 27일부터 12월 1일까지 3일간 ‘찾아가는 토지매수사업 현장민원실’을 운영한다고 24일 밝혔다.토지매수사업은 상수원 수질 개선과 깨끗한 물 공급을 위해 국가가 상류 지역 토지를 매수해 오염원을 제거하고 수변 녹지로 조성·관리하는 사업이다.영산강유역환경청은 고령이나 거동 불편으로 청사 방문을 어려워하는 주민들을 위해 2020년부터 매년 상·하반기 현장민원실을 운영하고 있다
[의학신문·일간보사=이정윤 기자] 기후에너지환경부(장관 김성환)는 11월 22일부터 29일까지 사우디아라비아, 쿠웨이트, 아랍에미리트 등 중동 3개국에 ‘녹색산업 수주지원단’을 파견한다고 21일 밝혔다.이번 파견은 기후변화 대응과 에너지 전환이 가속화되는 중동 지역에서 정부 간 협력 및 교류를 강화하고, 우리 기업의 녹색산업 해외 수주를 지원하기 위해 추진하는 것이다.수주지원단은 현지 정부와 공공 발주기관을 방문해 협력회의을 진행하며, 사우디·쿠웨이트·아랍에미리트 진출을 추진 중인 국내 환경 및 에너지 기업들과 동행해 기술 협의와
[의학신문·일간보사=이정윤 기자] 기후에너지환경부(장관 김성환)는 전국 지자체 108곳을 대상으로 지난해 한 해 동안의 공공폐수처리시설 운영·관리 실태를 평가하여 대전시, 동해시, 용인시 등 3곳을 그룹별 최우수 기관으로 선정했다고 밝혔다.이와 함께 양산시, 대구시, 부안군, 횡성군, 의령군, 보은군 등 6곳은 우수 지자체로 선정됐다.전년 대비 평가점수 인상폭이 가장 높은 시설의 운영기관인 △완주군, △한미엔텍 컨소시엄, △풍각농공단지입주기업체협의회 등 3곳은 발전상을 받는다.이번 평가에서 대전시는 폐수 유입률 등 모든 평가항목에서
[의학신문·일간보사=이정윤 기자] 기후에너지환경부 소속 국립생물자원관(관장 유호)은 최근 전국 643개 지점의 토양을 분석해 그간 우리나라에 알려지지 않았던 땅속 버섯 32속 181종의 유전자 정보를 새롭게 확보했다고 20일 밝혔다.국립생물자원관은 2019년부터 서울대학교 임영운 교수팀과 함께 ‘자생 토양균류 종다양성 연구’ 사업을 통해 우리나라 토양에 서식하는 균류를 확인하고 있으며 지난해 기준 총 4,479종의 국내 서식을 확인했다.이번 연구를 통해 새롭게 확보한 버섯(자실체) 32속 181종의 유전자 정보 중 141종은 세계적
[의학신문·일간보사=이정윤 기자] 기후에너지환경부(장관 김성환)는 11월 21일부터 기초수급가구 중 다자녀가구에 에너지바우처를 지급한다고 밝혔다. 대상은 ‘국민기초생활보장법’에 따른 생계·의료·주거·교육급여 수급자 중 19세 미만인 자녀를 2명 이상 포함하는 다자녀 세대다.지원 금액은 세대원 수에 따라 다르며 4인 세대일 경우 70만 1,300원이다. 사용기간은 에너지바우처 발급 이후 2026년 5월 25일까지다.신청은 11월 21일부터 12월 31일까지 관할 행정복지센터나 복지로 누리집(bokjiro.go.kr)에서 받는다.이번
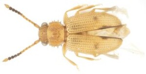
[의학신문·일간보사=이정윤 기자] 기후에너지환경부 산하 국립호남권생물자원관(관장 박진영)은 ‘섬·연안 생물자원 조사·발굴 연구’ 등을 통해 2021년부터 2024년까지 섬 지역에서 국내 미기록종 곤충 45종을 찾아냈다고 밝혔다. 국립호남권생물자원관 연구진이 이들 미기록종을 분석한 결과, 55.5%인 25종이 열대·아열대성 곤충이며, 나머지 20종은 온대·냉대성 곤충으로 나타났다. 이번에 확인된 열대·아열대성 곤충들은 일본 오키나와, 인도 등 적도와 가까운 저위도 지역에서 주로 분포하는 종들이며, 제주도에서 ‘닮은모래가는납작벌레’ 등
[의학신문·일간보사=이정윤 기자] 기후에너지환경부(장관 김성환)와 한국환경공단(이사장 임상준)은 11월 20일 중소기업디엠씨타워(서울 마포구 소재)에서 ‘상생협력 비즈니스 데이 2026’를 개최한다.이번 행사는 우수 기술을 보유한 중소·중견기업과 우수 환경기술의 도입을 원하는 수요기관을 연결하기 위해 마련됐다.이를 통해 기술이 우수하지만 실증기회가 부족하여 상용화가 어려웠던 중소·중견기업에 실증기회를 부여하고 수요기관은 우수 기술로 환경경영의 효율을 크게 높일 수 있어 상생협력을 통한 선순환 구조가 마련될 것으로 기대한다.이 행사에
[의학신문·일간보사=이정윤 기자] 기후에너지환경부(장관 김성환)는 11월 19일 오전 전국 17개 시도 및 교육부 등 11개 관계부처와 함께 ‘초미세먼지(PM-2.5) 재난대응 모의훈련’을 실시한다.이번 훈련의 목적은 초미세먼지 고농도 발생 시기(12~3월)에 효과적으로 대응하기 위한 것으로 기관별 비상저감조치 대응 역량과 협조체계를 점검한다.2019년부터 실시해 올해로 7번째인 이번 훈련은 ‘초미세먼지 재난 위기관리 표준 매뉴얼’에 따라 위기경보 ‘주의’ 단계가 발령되는 상황을 가정하여 현장 및 서면 훈련 방식으로 진행한다.‘주의
[의학신문·일간보사=이정윤 기자] 기후에너지환경부(장관 김성환)는 11월 18일 한국에너지공단 서울지역본부(서울 영등포구 소재)에서 재생에너지 이격거리 규제의 합리화와 주민 수용성 강화 방안을 논의하기 위한 광역지자체 간담회를 개최한다.재생에너지 이격거리는 풍력, 태양광 등 재생에너지 발전 시설을 주민생활 공간과 일정 거리 이상 떨어뜨려 설치하도록 정한 규칙을 말한다.이번 간담회는 정부 ‘재생에너지 중심 에너지 대전환’ 국정과제 이행과 ‘제2차 핵심규제 합리화 회의(10월 16일)’ 후속 조치를 논의하기 위해 7개 광역지자체(강원·
[의학신문·일간보사=이정윤 기자] 기후에너지환경부 산하 국립공원공단(이사장 주대영)은 국립공원 속 숨은 역사와 문화를 국민과 공유하기 위해 ‘국립공원 중요문화자원’ 제도를 도입하고, 첫 성과로 5곳의 중요문화자원을 선정했다고 밝혔다.‘국립공원 중요문화자원 제도’는 문화자원의 보전·활용에 대한 새로운 접근방법과 함께 국립공원 탐방 과정에서 역사와 문화를 직접 보고 체험할 수 있도록 구성됐다.이번에 선정된 문화자원은 △지리산국립공원 천왕봉 항일 바위글씨 △지리산국립공원 동편제 득음명소 용호구곡 △설악산국립공원 구 희운각대피소 △태백산국
[의학신문·일간보사=이정윤 기자] 기후에너지환경부(장관 김성환)는 국내 연간 전기차 보급대수가 올해 (2025년) 11월 13일 기준으로 20만대를 달성했다고 밝혔다.이는 종전의 연간 최대 보급대수인 2022년 16만 4천대를 크게 초과한 수치다.2011년 전기차 보급사업이 개시된 이후 10년 만인 2021년 연간 보급 10만대를 최초로 달성했던 것과 비교하면 4년 만에 연간 보급대수가 두 배를 넘겨 전기차 보급이 가속화되고 있는 것으로 나타났다.차종별로는 전기승용 17만 2천대, 전기승합 2천 4백대, 전기화물 2만 6천대가 보급
[의학신문·일간보사=이정윤 기자] 기후에너지환경부(장관 김성환)는 11월 14일 중소기업디엠씨타워(서울 마포구 소재)에서 ‘인공지능(AI) 기반 기후·환경 혁신 아이디어 공모전 시상식’을 개최한다고 밝혔다.이번 행사는 올해 7월부터 두 달간 열린 ‘인공지능 기반 기후·환경 혁신 아이디어 공모전’의 우수사례를 시상하기 위해 마련됐다. 이 공모전은 고품질의 환경행정을 제공하고 행정업무를 자동화하는 등 수요자 중심의 혁신 아이디어를 찾기 위해 열렸다. 공모전 대상은 ‘인공지능 플랫폼을 통한 도시하천 수질환경 예측·해결 모델(LX플랫폼사업
[의학신문·일간보사=이정윤 기자] 기후에너지환경부(장관 김성환)는 겨울철 번식과 먹이활동으로 야생멧돼지의 활동반경이 커지고, 바이러스 생존기간이 길어지는 등 아프리카돼지열병(ASF) 확산 위험이 높아짐에 대비하여 중점관리 대책을 마련하고, 관련 표준행동지침(SOP)도 개정하여 11월 14일부터 이를 시행한다고 밝혔다. 야생멧돼지 아프리카돼지열병은 2019년 10월 경기도 연천에서 처음 발생하여, 현재까지 경기․강원․충북․경북 등 43개 시군에서 총 4,277건이 발생했다.올해(2025년)는 신규지역으로 아프리카돼지열병이 확산되지 않
[의학신문·일간보사=이정윤 기자] 국립공원 사진공모전에서 64점이 수상작으로 선정됐다.기후에너지환경부 산하 국립공원공단(이사장 주대영)은 제24회 국립공원 사진 공모전 대상으로 박정식 씨의 ‘성인대에서 바라본 울산바위’ 등 수상작 64점을 선정했다고 밝혔다.올해 6월부터 46일간 진행된 이번 공모전에는 국립공원의 경관, 생태, 역사 문화 등 다양한 소재의 작품 3,596점이 접수되었으며, 5차에 걸친 심사 과정을 거쳤다.대상을 수상한 ‘성인대에서 바라본 울산바위’는 배경인 울산바위의 구도가 안정적이고 계절감과 색감이 잘 표현되어 심
[의학신문·일간보사=이정윤 기자] 앞으로 가축분뇨만으로도 고체연료 생산이 가능해진다.기후에너지환경부(장관 김성환)는 가축분뇨 고체연료 활성화를 위해 ‘가축분뇨의 관리 및 이용에 관한 법률(가축분뇨법)’ 시행령과 시행규칙 일부 개정안을 마련하고 11월 18일부터 12월 27일까지 입법예고한다.이번 개정안은 ‘가축분뇨 고체연료’를 만들 때의 저위 발열량 기준을 완화하면서, 가축분뇨에 보조원료를 섞을 수 있도록 했고, 형태에 대한 제약도 없애는 등 보다 쉽게 고체연료를 만들 수 있도록 했다.아울러 고체연료 생산시설의 설치 및 관리 기준과